/newsnation-english/media/post_attachments/images/2017/09/06/378316235-Irma.jpg)
US President Donald Trump declares emergencies in Florida, Puerto Rico, Virgin Island. (File Photo)
United States President Donald Trump has declared emergencies in Florida, Puerto Rico and US Virgin Islands as Hurricane Irma nears landfalls by the weekend.
A declaration by the White House has authorised the Department of Homeland Security and Federal Emergency Management Agency to coordinate disaster relief efforts in the three states.
Florida Governor Rick Scott declared a state of emergency in all 67 counties. Trump also approved a federal emergency declaration for the state ahead of the storm, according to the Federal Emergency Management Agency.
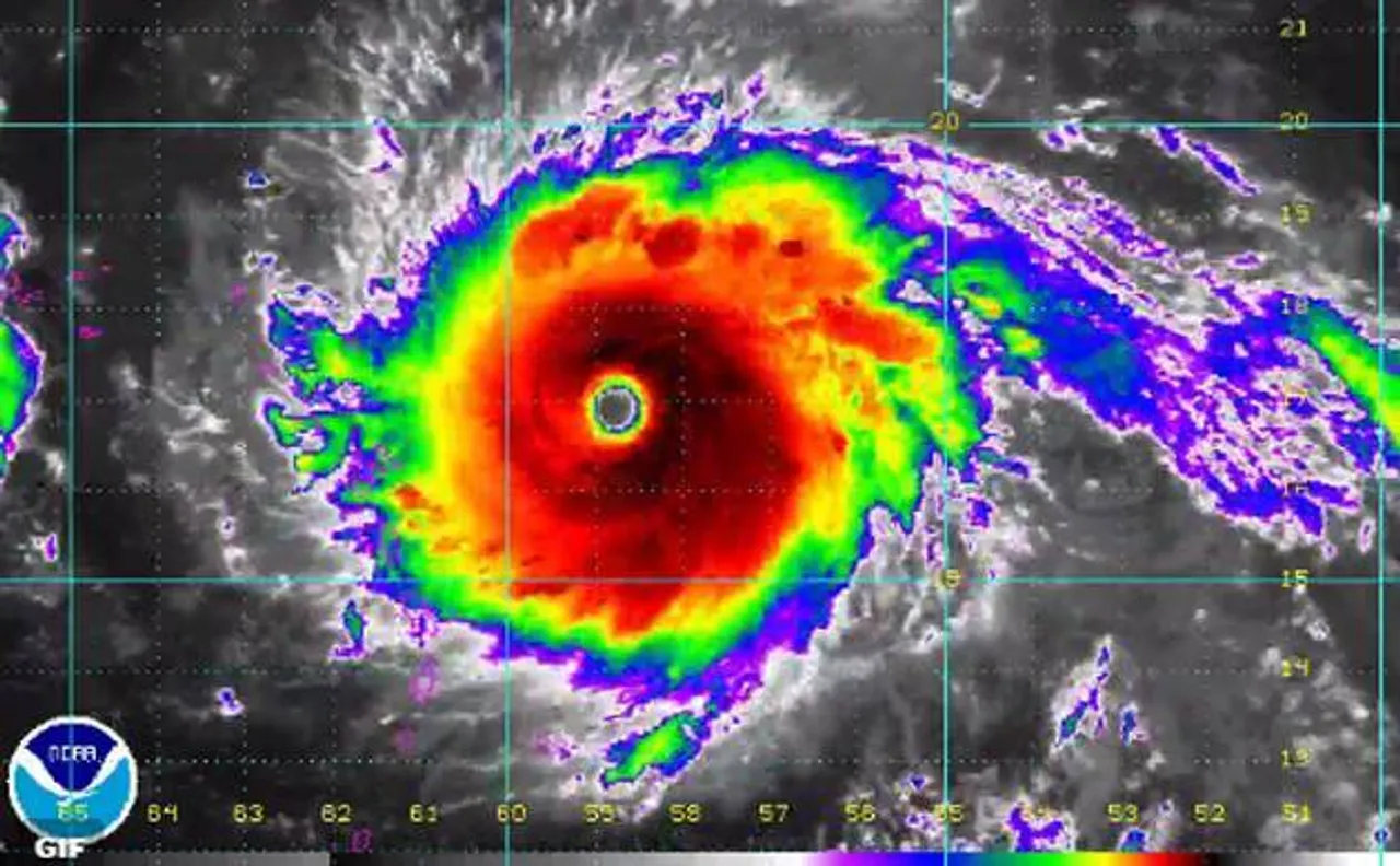
Irma's winds on Tuesday were recorded 297 kilometers per hour. According to forecasters od National Hurricane Center in Miami, the storm would strengthen more as it nears the eastern-most Caribbean islands.
Irma has been marked as dangerous Category 5 storm. The storm is said to be wielding the most powerful winds ever recorded for a storm originated from the Atlantic Ocean.
According to the declaration, the three states have been put on notice.
The state administrations have prepared residents of the state to leave in anticipation of catastrophic winds or floods.
Irma's size and strength put the entire state on notice Tuesday. Residents and visitors prepared to leave in anticipation of catastrophic winds and floods.
The US government has taken extra precautionary measures as the storm poses an immediate threat to the small islands of the northern Leewards, including Antigua and Barbuda, U.S. Virgin Islands and Puerto Rico.
/newsnation-english/media/agency_attachments/2024-07-23t155806234z-logo-webp.webp)
Follow Us